Description
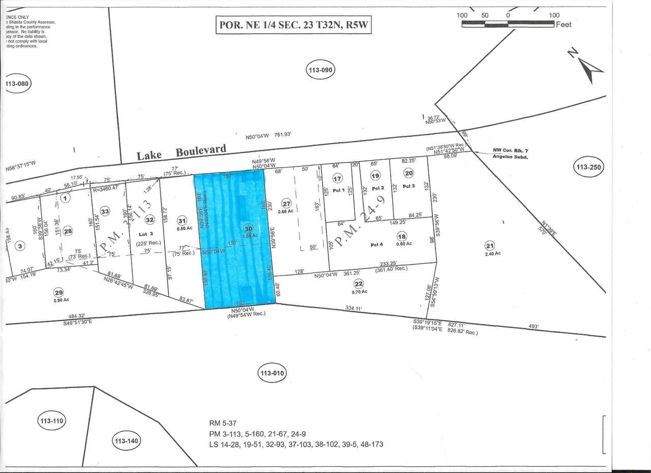
Level 1 acre parcel on main artery close to the city center, shopping, schools and all services making this location highly desirable for residential housing. The property is zoned and would be well suited for 10 market rate upper end housing units. There has been a use permit issued along with a list of conditions. All services are available at lot line.
-
0BEDS
-
1ACRES
-
0BATHS
-
01/2 BATHS
School Ratings & Info
Description
Level 1 acre parcel on main artery close to the city center, shopping, schools and all services making this location highly desirable for residential housing. The property is zoned and would be well suited for 10 market rate upper end housing units. There has been a use permit issued along with a list of conditions. All services are available at lot line.
Related Properties
IDX information © 2026 Shasta Association of Realtors MLS. Information provided is for consumers' personal, non-commercial use and may not be used for any purpose other than to identify prospective properties consumers may be interested in purchasing. All data, including all measurements and calculations of area, is obtained from various sources and has not been, and will not be, verified by broker or MLS. All information should be independently reviewed and verified for accuracy. Properties may or may not be listed by the office/agent presenting the information. Data last updated: 2026-02-15T23:58:12.283.
Licensed in the State of California.
